Porty zamknięte od Nowego Orleanu po Florydę. USA czekają na huragan Nate

Klasyfikowany od soboty rano jako huragan, Nate przyczynił się do śmierci 25 osób w krajach Ameryki Środkowej. W nocy z soboty na niedzielę ma uderzyć w Stany Zjednoczone.

W sobotę rano polskiego czasu Nate - który, jak dotąd, był burzą tropikalną - uzyskał status huraganu pierwszej kategorii w pięciostopniowej skali Saffira-Simpsona. Podczas swojej wędrówki przez Amerykę Łacińską Nate doprowadził do śmierci 25 osób.

W sobotę ze względu na żywioł zamknięto duże porty morskie USA nad Zatoką Meksykańską - od Nowego Orleanu do Pensacoli na Florydzie. Według Krajowego Centrum ds. Huraganów (NHC) Nate dotrze do USA w nocy z soboty na niedzielę.

Według Krajowej Służby Meteorologicznej Meksyku (SMN) huragan przemieszcza się z prędkością 35 km/h, a prędkość wiatru dochodzi do 150 km/h.

Meteorolodzy NHC ostrzegają, że jest on bardzo niebezpieczny. Prognozują, że Nate już wkrótce może osiągnąć kategorię drugą. Na jego trasie znajdują się państwa, przez które w ciągu kilku ostatnich miesięcy przeszły już inne huragany i burze tropikalne.

W Alabamie, Luizjanie, Missisipi oraz w 28 hrabstwach na Florydzie i w Nowym Orleanie ogłoszono stan wyjątkowy. Zarządzono ewakuację mieszkańców z najniżej położonych terenów i otwarto schroniska.

Prognozowana prędkość wiatru w huraganie Nate (NHC/NOAA)
Prognozowana prędkość wiatru w huraganie Nate (NHC/NOAA)
Źródło: NHC/NOAA

Stany na celowniku

- Nate już puka do naszych drzwi - stwierdził burmistrz Nowego Orleanu Mitch Landrieu.

Władze miasta zdecydowały się ewakuować część mieszkańców jeszcze wówczas, gdy Nate był jedynie burzą tropikalną.

Największym zagrożeniem ze strony huraganu nie jest sążnisty deszcz, lecz wyładowania atmosferyczne i porywisty wiatr. Może on doprowadzić do przerw w dostawach prądu, co poważnie utrudni pracę ratowników. Eksperci przewidują również wysokie fale na morzu.

- Przechodziliśmy już przez to wielokrotnie. Nie ma powodu do paniki - uspokajał burmistrz.Meteorolodzy prognozują, że huragan da się we znaki także mieszkańcom Grand Isle, Luizjany, Alabamy oraz Florydy.

- Już w sobotę o północy wszyscy powinni skryć się w domach, bezpieczni - stwierdził gubernator Alabamy Kay Ivey podczas konferencji prasowej.

Aktualna pozycja huraganu Nate (NHC/NOAA)
Aktualna pozycja huraganu Nate (NHC/NOAA)
Źródło: NHC/NOAA

Już 25 ofiar

W czwartek Nate, jako burza tropikalna, nawiedził kraje Ameryki Środkowej. W Nikaragui zmarło 12 osób, na Kostaryce dziewięć, a w Hondurasie i Salwadorze - po dwie.Władze Kostaryki ogłosiły stan wyjątkowy i ewakuowały tysiące mieszkańców z najbardziej narażonych terenów. Prezyden Luis Guillermo Solis zalecił wyjątkową ostrożność.

W Hondurasie wiele dróg ucieczki przed rozszalałym żywiołem było zablokowanych przez przybierającą wodę.

- Boimy się, że nasz dom po prostu zniknie - stwierdziła mieszkanka Hondurasu Norma Chavez.

Trasa huraganu

W nocy z piątku na sobotę Nate dotarł do półwyspu Jukatan w Meksyku. Zdaniem naukowców z Państwowego Centrum Huraganów w Miami, huragan dotrze do Zatoki Meksykańskiej.

Do poniedziałku we wschodnim Jukatanie spadnie jeszcze do 10 centymetrów deszczu, podczas gdy na wybrzeżu Stanów może spaść nawet do 15 centymetrów.

Prognozowana ścieżka huraganu Nate (NHC/NOAA)
Prognozowana ścieżka huraganu Nate (NHC/NOAA)
Źródło: NHC/NOAA
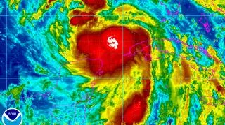
Nate na zdjęciu satelitarnym (NOAA)
Nate na zdjęciu satelitarnym (NOAA)
Źródło: NOAA

Autor: sj,ao/aw / Źródło: Reuters, NOAA, PAP

Czytaj także: