Były tajfun dotarł aż do Alaski. Rozszalał się huraganowy wiatr

Silna burza na Alasce doprowadziła do powodzi
Skutki silnej burzy na Alasce
Źródło: CNN
Alaskę nawiedziła silna burza, która przyniosła porywy wiatru o sile charakterystycznej dla huraganu. Żywioł zabił co najmniej jedną osobę. Służby przeprowadziły wiele akcji ratunkowych i wciąż szukają zaginionych.

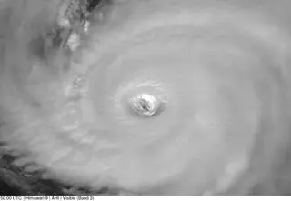
W niedzielę do południowo-zachodniej Alaski dotarły pozostałości tajfunu Halong, który w ubiegłym tygodniu uderzył w japońskie wyspy Izu. Przyniosły ze sobą silny wiatr, którego porywy przekraczały 160 kilometrów na godzinę, a miejscami - nawet 170 km/h. To prędkość, z jaką wieje huragan drugiej kategorii w skali Saffira-Simpsona.

Zagrożenie na Alasce stanowiły także fale sztormowe, które wywołały powodzie przybrzeżne.

Były tajfun na Alasce. Ofiara śmiertelna, dziesiątki uratowanych

Żywioł zabił co najmniej jedną osobę. To kobieta z wioski Kwigillingok - przekazał w poniedziałek Wydział Bezpieczeństwa Wewnętrznego i Zarządzania Kryzysowego Alaski. Dwie osoby z tej samej wioski w poniedziałek wciąż były uznawane za zaginione.

Służby uratowały co najmniej 51 osób i dwa psy z Kwigillingoku oraz z pobliskiej wioski Kipnuk. Niektóre akcje wymagały użycia helikoptera, który pozwalał zabrać ludzi z dachów domów otoczonych przez wysoką wodę. Około 1400 osób zostało przeniesionych do schronisk. Żywioł uszkodził co najmniej osiem domów.

Silna burza na Alasce doprowadziła do powodzi
Silna burza na Alasce doprowadziła do powodzi
Źródło: 2025 Cable News Network All Rights Reserved

Największa akcja ratownicza od dawna

W poniedziałek służby i władze wciąż prowadziły działania poszukiwawcze na słabo zaludnionym obszarze południowo-zachodniej Alaski. Kwigillingok i Kipnuk znajdują się około 650 kilometrów na południowy zachód od Anchorage, największego miasta stanu.

W akcjach brało udział 60-80 żołnierzy, a do końca tygodnia ich liczba może wzrosnąć do 200. Generał major Torrence Saxe, dowódca Gwardii Narodowej Armii Alaski przyznał, że to największa tego typu akcja w stanie od dawna.

Czytaj także: