Michał Żebrowski z rodziną na Jamajce czeka na nadejście huraganu. "Dostaliśmy zapasy jedzenia"

Aleksandra i Michał Żebrowscy na Jamajce - relacje instagramowe
Opustoszałe Kingston przed nadejściem huraganu Melissa
Źródło: 2025 Cable News Network All Rights Reserved
Jamajka szykuje się na nadejście ekstremalnego żywiołu. Wśród oczekujących na uderzenie huraganu Melissa są Polacy, którzy polecieli na karaibską wyspę na wakacje. Wśród nich znany aktor Michał Żebrowski z rodziną. W instagramowych relacjach opisuje wraz z żoną sytuację na miejscu.

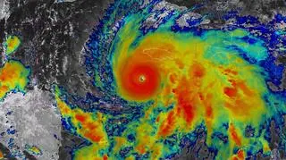
Do Jamajki zbliża się huragan Melissa, niosący wiatr o prędkości ponad 250 km/h, który w najbliższych godzinach może się jeszcze wzmagać. Na uderzenie żywiołu nazywanego już "najsilniejszą burzą na planecie" szykują się mieszkańcy wyspy oraz przyjezdni, którzy przylecieli spędzić wakacje na Karaibach. Wśród nich jest m.in. polski aktor Michał Żebrowski z rodziną. Tak on, jak i żona Aleksandra, w instagramowych relacjach opisują, jak wygląda sytuacja na wyspie.

Michał Żebrowski z rodziną czekają na nadejście huraganu Melissa

Jak piszą Aleksandra i Michał Żebrowscy, na Jamajkę pojechali na wakacje, z dziećmi. Są tam od połowy października. Jak relacjonują, czekają na Melissę, a ponieważ mają prąd, mogą odpisywać swoim obserwatorom. Z zamieszczonych "stories" wynika, że "ani przed wylotem na wyspę, ani długo po", nie wiedzieli o nadchodzącym huraganie. "Dopiero w czwartek zaczęto mówić o sztormie, a w piątek wieczorem, że jednak może być poważniej niż zazwyczaj".

Michał i Aleksandra Żebrowscy na Jamajce - screeny z Instagrama
Michał i Aleksandra Żebrowscy na Jamajce - screeny z Instagrama
Źródło: Instagram / Michał Żebrowski, Aleksandra Żebrowska

Z instagramowych relacji wynika, że są w okolicy Montego Bay. "Przenieśliśmy się w piątek do hotelu bliżej lotniska, podobno w najbezpieczniejszym miejscu na wyspie. Oprócz nas jest tu kilka innych osób, wszyscy zostają w swoich pokojach" - piszą. Jak dodają, w hotelu "jest pusto, ale nie ma paniki". "Wszyscy są podejrzanie spokojni. Bardzo o nas wszystkich dbają, właśnie dostaliśmy zapasy jedzenia" - informują Żebrowscy.

Zdaniem ekspertów Melissa to obecnie najsilniejsza burza, jaka pojawiła się na naszym globie w tym roku. Sklasyfikowano ją jako huragan najwyższej - piątej - kategorii w skali Saffira-Simpsona. Oprócz ekstremalnych opadów deszczu niesie też wiatr o prędkości przekraczającej 250 km/h. Do Jamajki ma dotrzeć we wtorek rano czasu lokalnego, czyli po południu w Polsce.

Czytaj także: