Tajfun Mawar wciąż sieje niepokój. Ostrzeżenia na Filipinach

Tajfun Mawar na zdjęciach satelitarnych
Tajfun Mawar na zdjęciach satelitarnych
Źródło: CIRA/CSU & JMA/JAXA
Tajfun Mawar, który w ubiegłym tygodniu przeszedł przez Guam, nadciąga teraz nad Filipiny. Wydano już alerty meteorologiczne i nakazy ewakuacji, miejscami nie odbywają się lekcje, a biura są puste. Sytuacja jest bardzo dynamiczna.

Na Filipinach rozpoczęła się ewakuacja tysięcy mieszkańców północnych regionów kraju, gdzie zamknięto szkoły i biura oraz zakazano wypływania w morze, ponieważ do wybrzeża zbliża się tajfun Mawar (nazywanego w tym kraju imieniem Betty) - przekazała w poniedziałek agencja prasowa Associated Press za władzami Filipin. Obecnie zjawisko niesie ze sobą porywy wiatru dochodzące do 190 kilometrów na godzinę.

W ubiegłym tygodniu Mawar uderzył w będącą pod jurysdykcją Stanów Zjednoczonych wyspę Guam w Mikronezji, przewracając samochody, zrywając dachy domów i odcinając prąd.

Tajfun Mawar na zdjęciach satelitarnych wykonanych w momencie zbliżania się do Guamu
Tajfun Mawar na zdjęciach satelitarnych wykonanych w momencie zbliżania się do Guamu
Źródło: CIRA/CSU & JMA/JAXA

Nieprzewidywalne zjawisko

Obecne prognozy przewidują, że tajfun może oszczędzić północne Filipiny i przesunąć się w kierunku Tajwanu lub na południe Japonii. Mimo to władze ostrzegają przed niebezpiecznymi falami, gwałtownymi powodziami i osuwaniem się ziemi. Filipińscy meteorolodzy oceniają, że kurs tajfunu może nagle się zmienić, więc należy pozostać ostrożnym.

- Pogoda jest obecnie nieprzewidywalna i może się zmienić w każdej chwili - powiedział Raffy Alejandro z filipińskiego Biura Obrony Cywilnej.

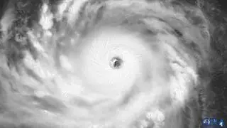
Tajfun Mawar na zdjęciach satelitarnych wykonanych w chwili zbliżania się do Guamu
Tajfun Mawar na zdjęciach satelitarnych wykonanych w chwili zbliżania się do Guamu
Źródło: CIRA/CSU & JMA/JAXA
Tajfun Mawar na zdjęciach satelitarnych wykonanych w chwili zbliżania się do Guamu
Tajfun Mawar na zdjęciach satelitarnych wykonanych w chwili zbliżania się do Guamu
Źródło: CIRA/CSU & JMA/JAXA

Alejandro poinformował także, że ponad 4800 osób zostało już ewakuowanych w bezpieczne miejsca w kilku prowincjach kraju, oddalonych od zagrożonej północnej części Filipin. W dwóch prowincjach wstrzymano lekcje w szkołach i pracę.

Każdego roku około 20 tajfunów i burz nawiedza Filipiny, gdzie występują także erupcje wulkanów i trzęsienia ziemi, co czyni ten kraj Azji Południowo-Wschodniej jednym z najbardziej podatnych na katastrofy naturalne na świecie.

Pacyficzny pierścień ognia
Pacyficzny pierścień ognia
Źródło: Maciej Zieliński/PAP/Reuters
Czytaj także: