Melissa. Huragan zmierza na Jamajkę - kamera na żywo

thumbnail_image
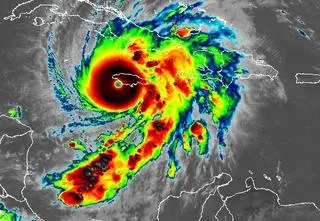
Melissa coraz bliżej Jamajki
Źródło: 2025 Cable News Network All Rights Reserved
Godziny dzielą Jamajkę od uderzenia huraganu Melissa. Żywioł obecnie porusza się nad Morzem Karaibskim i ciągle rośnie w siłę. Już teraz jest uważany za najsilniejszą burzę, jaka pojawiła się w tym roku na ziemi. W TVN24+ możesz śledzić relację na żywo z Jamajki.

Melissa to huragan piątej, najwyższej kategorii w skali Saffira-Simpsona. Oznacza to, że niesie on wiatr o prędkości ponad 252 km/h oraz niezwykle intensywne opady deszczu. Żywioł porusza się bardzo wolno, co sprawia, że jest wyjątkowo groźny. Ekspertów niepokoi fakt, że ciśnienie w centrum huraganu wynosi zaledwie 901 hPa, czyli jest niższe niż w przypadku dewastującego huraganu Katrina z 2005 roku. Im niższe jest ciśnienie, tym silniejsza jest burza.

OGLĄDAJ TEŻ W TVN24+

OGLĄDAJ: Potężny huragan zmierza na Jamajkę. Oglądaj na żywo
Jamajka na żywo

Potężny huragan zmierza na Jamajkę. Oglądaj na żywo
NA ŻYWO

Jamajka na żywo
Ten i inne materiały obejrzysz w subskrypcji

Kiedy huragan dotrze do Jamajki? Kamera na żywo

Melissa ma uderzyć w Jamajkę we wtorek rano lub tuż przed południem czasu lokalnego (w Polsce będzie wtedy po południu). Służby meteorologiczne ostrzegają przed opadami deszczu i wysokimi falami sztormowymi, które mogą prowadzić do powodzi błyskawicznych i lawin błotnych. Z kolei silny wiatr może doprowadzić do zniszczeń wielu budynków. Lokalne władze wydały nakazy ewakuacji dla mieszkańców nisko położonych terenów. W TVN24+ możesz śledzić na żywo to, co dzieje się na Jamajce.

Według prognoz huragan po uderzeniu w Jamajkę dotrze także do Kuby, Haiti, Bahamów oraz Turks i Caicos.

Czytaj także: