Hinnamnor. Tak nazywa się zagrożenie zbliżające się do Japonii

Hinnamnor, który otrzymał miano supertajfunu, zbliża się do Japonii. Jego średnia prędkośc wiatru przekracza 250 kilometrów na godzinę, a chwilami nawet 300 km/h. Hinnamnor może być najpotężniejszym cyklonem tropikalnym, który powstał w tym roku.

Na północno-zachodnim Pacyfiku uformował się tajfun Hinnamnor. Jest odpowiednikiem huraganu piątej kategorii w skali Saffira-Simpsona i zdaniem ekspertów jest na dobrej drodze, aby uderzyć w jedną lub kilka japońskich wysp. Zdaniem naukowców z AccuWeather, będzie to najpotężniejszy cyklon tropikalny, który powstanie w tym roku.

We wtorek wieczorem czasu lokalnego centrum ostrzegania przed tajfunami Joint Typhoon Warning Center (JTWC) zaklasyfikowało Hinnamnora jako supertajfun. Natomiast Japońska Agencja Meteorologiczna (JMA) określiła go mianem "bardzo silnego tajfunu".

Prognozowana trasa tajfunu Hinnamnor 
Prognozowana trasa tajfunu Hinnamnor 
Źródło: JTWC

Wiało z prędkością ponad 250 kilometrów na godzinę

We wtorek po południu czasu miejscowego prędkość wiatru w tajfunie przekraczała 250 kilometrów na godzinę. Prawdopodobnie w porywach wiało nawet z prędkością do 300 km/h.

Ostrzeżenia przed burzą i wysokimi falami zostały wydane dla grupy wysp Daitō, które są domem dla około 2100 mieszkańców. 

Prognozuje się, że oko cyklonu minie w odległości prawie 150 kilometrów bazę lotniczą Kadena na Okinawie w środę o godzinie 19 czasu lokalnego. Spadnie tam 120-150 litrów deszczu na metr kwadratowy.

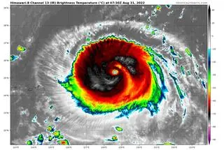
Zdjęcie satelitarne tajfunu w podczerwieni z 31 sierpnia
Zdjęcie satelitarne tajfunu w podczerwieni z 31 sierpnia
Źródło: tropicaltidbits.com
Czytaj także: