Jedna z nich ma prawie 2700 metrów wysokości. Odkryto cztery podwodne góry

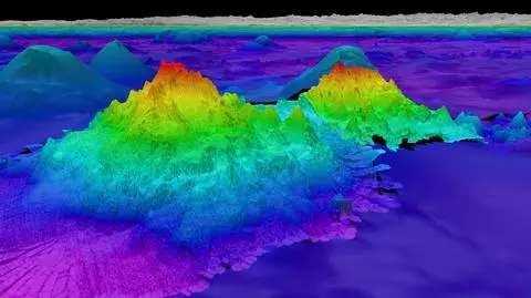
Największa z czterech odkrytych gór
Naukowcy zbierają pomiary akustyczne w oceanie
Źródło: FAU Harbor Branch Oceanographic Institute
U wybrzeży Ameryki Południowej naukowcy odkryli cztery podmorskie góry. Najwyższa ma prawie 2700 metrów wysokości. Z dotychczasowych badań wynika, że w rejonie podwodnych szczytów żyją rzadkie lub nieznane nauce gatunki fauny i flory.

Trzy nowo odkryte góry znajdują się w bliskim sąsiedztwie wybrzeża Peru i są bardzo wysokie. Pierwsza z nich ma wysokość 1591 metrów, druga - 1644 m, natomiast trzecia liczy 1873 m. Jednak największy podwodny szczyt, zlokalizowany u wybrzeży Chile, wznosi się na wysokość 2681 m. Dla porównania - Burdż Chalifa, najwyższy budynek świata, ma prawie 830 metrów. Badacze sprecyzowali, że wysokość była mierzona od podstawy góry.

Międzynarodowa ekspedycja była prowadzona w styczniu przez naukowców z amerykańskiej fundacji Schmidt Ocean Institute (SOI). Odkryć dokonano podczas wyprawy z Kostaryki do Chile.

Naukowcy wyjaśnili, że dokładna analiza rejonu szczytów została poprzedzona odkryciem dużych "nierówności" terenów Oceanu Spokojnego, znajdujących się w pobliżu peruwiańskiego i chilijskiego wybrzeża.

Największa z czterech odkrytych gór
Największa z czterech odkrytych gór
Źródło: Schmidt Ocean Institute

W ubiegłym roku ten sam zespół badawczy odkrył podwodną górę dwukrotnie wyższą od budynku Burdż Chalifa. Ma ona wysokość około 1600 m.

Według amerykańskiej Narodowej Administracji Oceanicznej i Atmosferycznej (NOAA) oceany kryją nawet sto tysięcy takich podwodnych szczytów, ale tylko niewielka ich część została odkryta. Eksperci uważają, że ponad połowa z nich znajduje się w rejonie Pacyfiku.

Statek badawczy na Oceanie Spokojnym podczas ekspedycji
Statek badawczy na Oceanie Spokojnym podczas ekspedycji
Źródło: Schmidt Ocean Institute

Mogą tam żyć nieznane gatunki

Jak poinformowała dyrektor wykonawcza SOI Jyotika Viramani, jest duża szansa, że w rejonie odkrytych gór prowadzone będą w najbliższym czasie dalsze badania naukowe dotyczące bioróżnorodności.

Specjalistka dodała, że dotychczasowe studia w rejonie podwodnych szczytów na świecie wykazały, iż zazwyczaj ich obszar zamieszkują rzadkie lub nieznane nauce gatunki fauny i flory.

Czytaj także: