Rekordowy huragan coraz bliżej Meksyku. Prędkość wiatru to aż 325 km/h

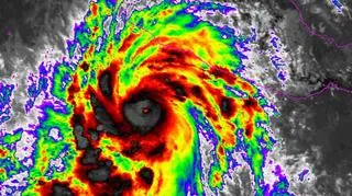
Huragan Patricia zbliża się do Meksyku
Huragan Patricia zbliża się do Meksyku
Źródło: NOAA
Meksykanie drżą przed Patricią. Stała się najsilniejszym huraganem, jaki kiedykolwiek pojawił się na zachodniej półkuli. Nieposkromiony żywioł wkrótce wedrze się do Meksyku. Władze ostrzegają przed nawałnicami.

Amerykańscy meteorolodzy podali, że średnia prędkość wiatru huraganu Patricia osiąga 325 km/h, a porywy są jeszcze większe. Ciśnienie w oku cyklonu spadło do rekordowej wartości - 880 hPa. To sprawiło, że stał się on najpotężniejszym huraganem na półkuli zachodniej.

Narodowa Agencja Meteorologiczna w Meksyku podała, że huragan stał się najsilniejszym od momentu, kiedy rozpoczęto pomiary, czyli od 1949 roku.

W czwartek rano Patricia była jeszcze burzą tropikalną, wieczorem tego samego dnia osiągnęła status huraganu piątej kategorii według skali Saffira-Simpsona.

Zbliża się do Meksyku

Meteorolodzy ostrzegają, że huragan piątej kategorii w piątek wieczorem czasu lokalnego wedrze się do Meksyku. Uderzy prawdopodobnie w środkowo-zachodni stan Jalisco. Niebezpiecznie będzie także w stanie Colima. W tamtejszy mieście Manzanillo wydano ostrzeżenie przed huraganem. Alarm został również ogłoszony w popularnym kurorcie Puerto Vallarta. Przewiduje się, że to właśnie w pobliżu tych ośrodków Patricia uderzy w ląd. Niewykluczone, że w momencie uderzenia cyklon będzie jeszcze silniejszy niż jest obecnie.

W piątek o godzinie 10 czasu lokalnego oko cyklonu znajdowało się w odległości 255 km na południowy zachód od miejscowości Manzanill w Meksyku. Cyklon przesuwa się z prędkością 16 km/h

Deszczu spadnie nawet 500 l/mkw.

Synoptycy przewidują, że Patricii towarzyszyć będzie wysoka fala sztormowa. Może ona zalać przybrzeżne tereny. Fale mogą osiągać wysokość dochodzącą do 12 metrów. Poza tym, spadnie do 300 l/mkw., a miejscami nawet do 500 l/mkw. deszczu. Najbardziej intensywny opad prognozowany jest w stanach Jalisco, Colima, Michoacan i w Guerrero. Deszcz może spowodować powodzie błyskawiczne oraz lawiny błotne.

Władze Meksyku rozpoczęły przygotowywanie schronów. Apelują do mieszkańców stanów Colima, Jalisco i Michoacan, by przygotowali się na ulewny deszcz i bardzo silny wiatr.

Huragan Patricia
Huragan Patricia
Źródło: NASA/ EARTH SCIENCE OFFICE
Huragan Patricia
Huragan Patricia
Źródło: NOAA
Huragan Patricia
Huragan Patricia
Źródło: NOAA

Autor: mab/rp / Źródło: Reuters TV, weather.com, NOAA

Czytaj także: