Nie zdążyli odetchnąć po ostatnim, nadciąga kolejny huragan

Huragan Iota zbliża się do Ameryki Środkowej
Tomasz Wasilewski o huraganie Laura
Źródło: tvn24
Mieszkańcy państw spustoszonych niecałe dwa tygodnie temu przez Etę z niepokojem oczekują nadejścia kolejnego huraganu. Iota - obecnie huragan trzeciej kategorii - może jeszcze przybrać na sile, przynosząc "katastrofalny wiatr, zagrażające życiu fale sztormowe i ekstremalne opady deszczu".

W poniedziałek o godzinie 1 czasu wschodnioamerykańskiego huragan Iota znajdował się w odległości 70 kilometrów na północny wschód od kolumbijskiej wyspy Isla de Providencia. Prędkość wiatru wynosiła 205 kilometrów na godzinę. Żywioł przesuwał się na zachód z prędkością 17 km/h.

Jak czytamy w komunikacie amerykańskiego Narodowego Centrum Huraganów (NHC), huragan może przynieść "katastrofalny wiatr, zagrażające życiu fale sztormowe i ekstremalne opady deszczu". Obecnie jest klasyfikowany jako huragan trzeciej kategorii w pięciostopniowej rosnącej skali Saffira-Simpsona. W ciągu następnych godzin może wzmocnić się do huraganu czwartej kategorii. Powinien uderzyć w poniedziałek wieczorem czasu lokalnego.

Ostrzeżenie przed huraganem obowiązuje na terenie Isla de Providencia oraz na wybrzeżu Nikaragui od granicy Hondurasu do Sandy Bay Sirpi i w północno-wschodniej części Hondurasu od Punta Patuca od granicy z Nikaraguą.Do piątkowego poranka w północnej Nikaragui, Hondurasie, Gwatemali i południowej części Belize może spaść deszcz o sumie od 200 do 400 litrów wody na metr kwadratowy. Możliwe są punktowe opady z sumą od 500 do 750 l/mkw., zwłaszcza od północno-wschodniej Nikaragui do północnego Hondurasu.Synoptycy przewidują, że poziom wody zostanie podniesiony powyżej normalnego o trzy-cztery i pół metra.

Prognozowana trasa huraganu Iota (NHC/NOAA)
Prognozowana trasa huraganu Iota (NHC/NOAA)
Źródło: NHC/NOAA

"Znowu uciekliśmy"

Władze ostrzegają, ze żywioł może pogłębić duże zniszczenia wywołane przez poprzedni huragan Eta od Panamy po południowy Meksyk. Rozpoczęły się ewakuacje z najbardziej zagrożonych terenów.- W ostatnim huraganie straciliśmy nasz dom. Właśnie wróciliśmy, by go odbudować, ale teraz znowu uciekliśmy - powiedział jeden z mieszkańców północno-wschodniego regionu Nikaragui z Miskito, plemiania Indian.

Eta zeszła na ląd niespełna dwa tygodnie temu, uderzając początkowo w Nikaraguę i Honduras. Następnie powoli przemieszczała się przez następne kraje Ameryki Środkowej, dotykając także Meksyk. Później uderzyła w Kubę oraz dwa razy wylądowała na Florydzie. W Ameryce Środkowej wystąpiły poważne powodzie, schodziły lawiny błotne. Zniszczeniom uległy domy, drogi i mosty. Zginęło blisko 200 osób.

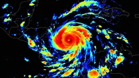
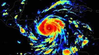
Zdjęcie satelitarne huraganu Iota (NOAA)
Zdjęcie satelitarne huraganu Iota (NOAA)
Źródło: NOAA

Najbardziej aktywny sezon w historii

Iota jest już 30. żywiołem, który w tym sezonie uformował się na Oceanie Atlantyckim.

Sezon na burze tropikalne i huragany na Atlantyku kończy się 30 listopada, jednak każdy system pogodowy, który w 2020 roku utworzy się po tym czasie, także zostanie wliczony do obecnego, najbardziej aktywnego w historii, sezonu.

Autor: ps / Źródło: Reuters, NHC, tvnmeteo.pl

Czytaj także: