Potężny tajfun Yutu uderzył w Filipiny. Wiatr osiąga prędkość 230 km/h

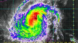
Yutu na zdjęciach satelitarnych
Tajfun Trami widziany z kosmosu
Źródło: NASA, ESA
Tajfun uderzył we wtorek w północne Filipiny. Prędkość podmuchów dochodzi do 230 kilometrów na godzinę. Wiatr łamie drzewa, zrywa linie energetyczne. Ewakuowano ponad 10 tysięcy mieszkańców.

Jak poinformowali przedstawiciele filipińskich władz, tajfun Yutu uderzył we wtorek przed świtem lokalnego czasu w miasto Dinapigue w północno-wschodniej prowincji Isabela. Średnia prędkość wiatru wynosiła 150 kilometrów na godzinę, a prędkość podmuchów dochodziła nawet do 230 km/h.

Wichura powaliła drzewa, słupy energetyczne i zrywała dachy z budynków. Na razie nie ma doniesień o ofiarach. Żywioł zmierza na zachód z prędkością 20 km/h. Jest to 18. tajfun w tym roku, który dotarł do terytorium Filipin.

Ewakuowano ponad 10 tysięcy mieszkańców

Według synoptyków, tajfun Yutu nieco osłabł po wejściu na ląd i w ciągu dnia z północnego wschodu będzie przesuwał się na zachód, przez prowincje zniszczone przez tajfun Mangkhut, który nawiedził te obszary w połowie września. Yutu uderzył w Filipiny po przejściu przez stowarzyszone z USA Mariany Północne na Pacyfiku, gdzie zniszczył domy i zakłócił dostawy prądu dla mieszkańców - donosi agencja Associated Press.

Przed uderzeniem tajfunu ponad 10 tysięcy mieszkańców wsi w północnych prowincjach Filipin przeniosło się w bezpieczne miejsca.

Prognozowana trasa przejścia tajfunu Yutu (PAGASA)
Prognozowana trasa przejścia tajfunu Yutu (PAGASA)
Źródło: PAGASA

Sezon na tajfuny

We wrześniu w Filipiny uderzył potężny tajfun Mangkhut. Zginęło wówczas blisko 90 osób, a zaginęło około 40 - głównie w Itogon w prowincji Benguet i pobliskich miastach górskich. Żywioł, który uderzył w czasie żniw, spowodował znaczne szkody w uprawach kukurydzy i ryżu.

Filipiny są jednym z najbardziej narażonych na katastrofy regionów na świecie. Każdego roku kraj ten jest atakowany przez około 20 silnych burz tropikalnych i znajduje się w Pacyficznym Pierścieniu Ognia, czyli strefie częstych trzęsień ziemi i erupcji wulkanicznych.

Yutu dotarł do Filipin (PAP/EPA/NEL MARIBOJOC)

Tajfun Yutu na zdjęciach satelitarnych (NOAA)
Tajfun Yutu na zdjęciach satelitarnych (NOAA)
Źródło: NOAA

Autor: dd/rp / Źródło: PAP, Reuters

Czytaj także: