"Bądźcie bezpieczni". Trami zmierza w kierunku Japonii

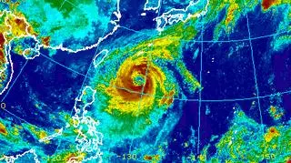
Trami na zdjęciach satelitarnych (NOAA)
Tajfun Trami widziany z kosmosu
Źródło: NASA, ESA
Trami sunie w kierunku Japonii. Żywioł osłabł i obecnie odpowiada kategorii drugiej w skali Saffira-Simpsona. Synoptycy ostrzegają jednak, że może przynieść intensywne opady deszczu i porywisty wiatr.

Zgodnie z najnowszą prognozą Japońskiej Agencji Meteorologicznej tajfun Trami uderzy w wyspy Riuku w sobotę o godzinie 6 lokalnego czasu. Na wyspach Kiusiu spodziewany jest natomiast w niedzielę o godzinie 6.

Maksymalna prędkość wiatru, jaką niesie tajfun, dochodzi do 216 kilometrów na godzinę, a średnia do 162 km/h. Centrum Trami znajduje się w odległości około 300 kilometrów od bazy Kadena na wyspie Okinawa. Głównym zagrożeniem, jakie może spowodować jest porywisty wiatr i intensywne opady deszczu. Obecnie siła żywiołu odpowiada drugiej kategorii w skali Saffira-Simpsona.

Intensywne opady deszczu

Po nadejściu tajfunu do Japonii pojawią się tam ulewne opady deszczu. W prefekturze Kagoshima, na wyspie Kiusiu, może spaść nawet 250-500 litrów deszczu na metr kwadratowy. Tak intensywne opady mogą doprowadzić do powstania lawin błotnych, powodzi i osunięć ziemi.

- Tajfun może spowodować zagrażające życiu osunięcia ziemi. Kiedy ten system się porusza, zwiększa się intensywność deszczu - mówił w środę meteorolog z amerykańskiej stacji CNN Tom Sater.

Prognozowana trasa przejścia tajfunu Trami - czwartek godz
Prognozowana trasa przejścia tajfunu Trami - czwartek godz
Źródło: Japan Meteorological Agency
Trami na zdjęciach satelitarnych (NOAA)
Trami na zdjęciach satelitarnych (NOAA)
Źródło: NOAA

Tak wygląda z kosmosu

W środę niemiecki astronauta Alexander Gerst zrobił zmierzającemu w kierunku Japonii tajfunowi niesamowite zdjęcia.

"Jakby ktoś wyciągnął gigantyczny korek z planety. Spoglądając w oczy kolejnej zaciekłej burzy. Supertajfun kategorii piątej jest nie do powstrzymania i zmierza w kierunku Japonii i Tajwanu. Bądźcie bezpieczni!" - napisał na Twitterze Gerst w środę.

Autor: anw,dd/aw / Źródło: The Weather Channel, Reuters, NASA, CNN, Accuweather

Czytaj także: