Dziewięć huraganów, w tym cztery poważne. Klimatolodzy o siódmym z rzędu "sezonie powyżej normy"

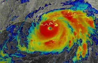
Huragan Ida na zdjęciu satelitarnym z 29 sierpnia
Ulewy w Gdyni
Źródło: TVN24
Sezon na huragany na Oceanie Atlantyckim rozpocznie się za około półtora miesiąca i zakończy się w listopadzie. Co widać w przewidywaniach klimatologów i meteorologów na ten czas? Jak przekazali specjaliści z Uniwersytetu Stanu Kolorado (CSU), na 2022 rok prognozowane są cztery poważne huragany z wiatrem osiągającym prędkość do 178 kilometrów na godzinę. Ma być to kolejny sezon powyżej normy.

Okres od początku czerwca do końca listopada to co roku czas aktywności huraganów i burz tropikalnych w rejonie Oceanu Atlantyckiego. Meteorolodzy i klimatolodzy starają się przewidzieć, co na ten czas może przynieść pogoda.

Jedną z takich prognoz przedstawili podczas konferencji prasowej w czwartek naukowcy z Uniwersytetu Stanowego Kolorado. Dzięki uniwersyteckiemu Projektowi Meteorologii Tropikalnej (Tropical Meteorology Project) specjaliści wyliczyli, że na Oceanie Atlantyckim, Morzu Karaibskim i w rejonie Zatoki Meksykańskiej w nadchodzącym sezonie pojawi się 19 burz tropikalnych z wiatrem o prędkości co najmniej 63 kilometrów na godzinę i dziewięć huraganów z wiatrem o prędkości co najmniej 119 km/h.

Cztery huragany - według prognozy - będzie można określić mianem poważnych. Co to oznacza? Siła tych żywiołów wyrażana jest w pięciostopniowej, rosnącej skali Saffira-Simpsona. Te nazywane mianem trzeciej kategorii bądź wyższej nazywa się poważnymi huraganami (ang. major hurricanes). Towarzyszy im średnia prędkość wiatru przekraczająca 178 km/h. To wystarczy, by wyrwać drzewo z korzeniami.

Huragany na Atlantyku. "Sezon powyżej normy"

- W 2022 roku sezon huraganów będzie ponownie powyżej normy - powiedział podczas konferencji online Phil Klotzbach z Uniwersytetu Stanu Kolorado, kierujący zespołem prognozującym sezon huraganów.

Zespół opiera swoje prognozy na modelu statystycznym, a także na trzech modelach, które wykorzystują połączenie informacji statystycznych i danych wyjściowych pochodzących z analiz Europejskiego Centrum Średnioterminowych Prognoz Pogody (ECMWF), brytyjskiego Met Office i Japońskiej Agencji Meteorologicznej (JMA). 

Jak wynika z danych Narodowej Administracji Oceanicznej i Atmosferycznej (NOAA), średnia liczba cyklonów tropikalnych na Atlantyku w latach 1991-2020 to siedem huraganów (z czego trzy uznaje się za poważne) oraz 14 burz tropikalnych.

Huragan Ida w Nowym Orleanie
Huragan Ida w Nowym Orleanie
Źródło: Luke Sharrett/Bloomberg/Getty Images

Co mówią inne prognozy?

Prognoza CSU jest tożsama z innymi przewidywaniami dotyczącymi nadchodzącego sezonu huraganowego, jakie opublikowano do tej pory. Pod koniec marca portal AccuWeather prognozował, że w 2022 roku powstanie od trzech do pięciu poważnych huraganów, od sześciu do ośmiu huraganów oraz od 16 do 20 nazwanych burz tropikalnych. Od czterech do sześciu z tych systemów pogodowych będzie miało wpływ na sytuację meteorologiczną w Stanach Zjednoczonych.

Zgodnie z prognozą prywatnej amerykańskiej firmy Data Transmission Network, dostarczającej danych i analiz o pogodzie, rolnictwie i energii, w 2022 roku będziemy mieli do czynienia z 21 nazwanymi burzami. Osiem z nich osiągnie siłę huraganu, a cztery będą poważnymi huraganami kategorii trzeciej bądź wyższej.

Wszyscy wskazują na dwa czynniki wpływające na prognozy: brak obecności zjawiska El Niño oraz wyższe niż oczekiwano wartości temperatury wody na Atlantyku. Zjawisko El Niño powoduje, że w południowych Stanach Zjednoczonych wieje silny wiatr, który może rozbijać huragany na Oceanie Atlantyckim.

- Nie widzimy żadnych znaczących trendów, które pozwalałyby sądzić, że w najbliższym czasie nastąpi zmiana w kierunku pojawienia się El Niño - powiedział Klotzbach.

Jeśli prognozy sprawdzą się, rok 2022 będzie siódmym z kolei sezonem huraganów powyżej średniej.

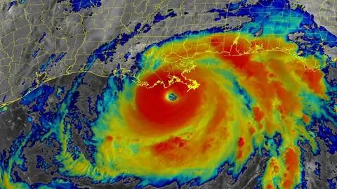
Zdjęcie satelitarne huraganu Ida z 30 sierpnia 2021
Zdjęcie satelitarne huraganu Ida z 30 sierpnia 2021
Źródło: NOAA/NESDIS

Dwa ostatnie sezony wyjątkowe

Jak przypomniał portal AccuWeather, ostatnie dwa sezony huraganowe były wyjątkowo aktywne. Sezon 2020 nazwał "historycznym" z racji tego, że ustanowiono rekord liczby nazwanych burz - 30. Rok 2021 także był obfity, odnotowano wtedy 21 nazwanych burz. To czyniło go trzecim najaktywniejszym w historii pod tym względem. Dodatkowo, był on drugim sezonem z rzędu, który zmusił meteorologów do wykorzystania całej listy imion burz.

Z 2021 roku najbardziej w pamięć zapadł huragan czwartej kategorii o imieniu Ida. Na przełomie sierpnia i września spowodował katastrofalne zniszczenia, kiedy znalazł się u południowo-wschodniego wybrzeża Luizjany. Następnie przekształcił się w niż pozazwrotnikowy, który przyniósł ulewne deszcze i śmiertelne powodzie w północno-wschodnich Stanach Zjednoczonych. Zginęło wtedy co najmniej 91 osób.

Huragan Ida na zdjęciu satelitarnym z 29 sierpnia 2021
Huragan Ida na zdjęciu satelitarnym z 29 sierpnia 2021
Źródło: NOAA NWS National Hurricane Center
Czytaj także: