Rammasun nad Filipinami. 1300 miejscowości zagrożonych powodziami

To nie pierwszy raz, kiedy Filipiny przygotowują się na nadejście tajfunu
To nie pierwszy raz, kiedy Filipiny przygotowują się na nadejście tajfunu
Źródło: PAP/EPA
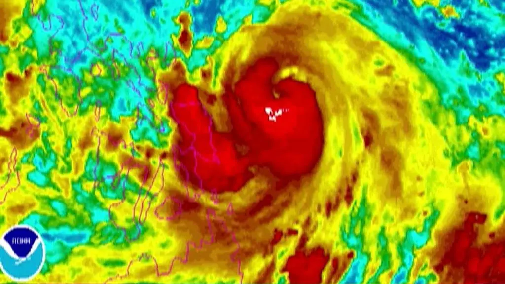
Tysiące ludzi żyjących na przybrzeżnych obszarach Filipin zostało ewakuowanych z powodu zagrożenia, jakie niesie tajfun Rammasun. Meteorolodzy przewidują, że dzisiaj dotrze on do Manili, stolicy archipelagu, którą zamieszkuje dwanaście milionów ludzi. Obecnie żywioł znajduje się na wschodnich krańcach Filipin. Wiatr osiąga tam prędkość 145 km/h.

Jak podaje Philippine Atmospheric, Geophysical and Astronomical Services Administration (Filipińska Administracja ds. Atmosfery, Geofizyki i Astronomii), Rammasun rośnie w siłę. Porusza się na zachód w kierunku regionu Bicol (leży on na południowo-wschodnim krańcu wyspy Luzon, nad Morzem Filipińskim).

Urzędnik obrony cywilnej informował, że Rammasun, zwany lokalnie Glendą, dotarł we wtorek w godzinach popołudniowych (czasu lokalnego) do

Zrywa się silny wiatr

Już w nocy z poniedziałku na wtorek czasu lokalnego, w odległości około 270 km na wschód od Legazpi i Albay, wiatr osiągał prędkość 120 km/h, a w porywach nawet 150 km/h, niosąc za sobą zniszczenia.

Wsparcie Czerwonego Krzyża

Filipiński Czerwony Krzyż informował we wtorek rano, że tajfun umocnił się na zachodzie Oceanu Spokojnego. Lokalne miejscowości przygotowują się na jego nadejście. - Zaobserwowaliśmy w przeszłości, że nawet przy lekkim deszczu, mamy powódź w centrum Manili. Także spodziewamy się, że tajfun przyniesie intensywne opady deszczu prowadzące do powodzi - mówiła sekretarz generalny Gwendolyn Pang.

Władze uspokajają

Rammasun jest pierwszym w tym sezonie pory deszczowej tajfunem.

Tajfun na Filipinach

Tajfun na Filipinach

Autor: PW/map / Źródło: abc.net.au, NOAA,

Czytaj także: