Wymiana nawierzchni, prace przy metrze i kanalizacji. Zmiany na drogach

Nadchodzący weekend upłynie pracowicie warszawskim drogowcom. Od czwartku 21 listopada do poniedziałku 25 listopada pracować będą między innymi na Mokotowie, Bemowie i w Wawrze.

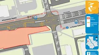
"W weekend warszawscy drogowcy z Zarządu Dróg Miejskich będą kontynuowali prace na skrzyżowaniu alei Niepodległości i ulicy Stefana Batorego. Po północnej stronie skrzyżowania budowane jest nowe przejście dla pieszych i przejazd dla rowerów, a kierowcy zyskają wydzielone fazy do skrętu w lewo z alei Niepodległości w obu kierunkach. W ramach tych prac drogowcy wymieniają również nawierzchnię jezdni na skrzyżowaniu" – czytamy w komunikacie urzędu miasta.

Kolejny etap prac na skrzyżowaniu Batorego z Niepodległości

W związku z pracami, od piątku 22 listopada, od godziny 22 do poniedziałku 25 listopada, do godziny 6 z ruchu wyłączona będzie zachodnia (w kierunku Ursynowa) jezdnia alei Niepodległości od Trasy Łazienkowskiej wraz z zachodnią częścią skrzyżowania z ulicą Batorego. 

Jak podaje urząd miasta, utrzymany zostanie dojazd do posesji i budynków Biblioteki Narodowej, ale ulica Batorego od strony Pola Mokotowskiego będzie kończyła się ślepo. Kierowcy jadący ulicą Boboli do alei Niepodległości będą mogli dojechać przez ulicę Rakowiecką, natomiast jadący aleją Niepodległości od strony centrum nie będą mieli możliwości jazdy prosto w kierunku Ursynowa – będą musieli skręcić w lewo lub w prawo w Trasę Łazienkowską. Kierowcy jadący od placu Unii Lubelskiej ulicą Batorego będą musieli skręcić prawo w kierunku Trasy Łazienkowskiej.

Objazdy zamkniętej jezdni poprowadzone zostaną ulicami: Trasa Łazienkowska – L. Waryńskiego – Puławska – Rakowiecka lub ulicami Wawelska – Żwirki i Wigury – Racławicka.

"Autobusy linii 119 będą kursowały objazdem al. Niepodległości i ul. A.J. Madalińskiego, a linii 143 pojadą ul. Waryńskiego i zawrócą na pl. Konstytucji. Autobusy linii 167 w kierunku Siekierki-Sanktuarium pojadą Trasą Łazienkowską i dalej ul. Waryńskiego. Linie 174 (w kierunku Bokserskiej) i 200 (w kierunku Konstancina-Jeziorny) oraz nocna N36 (w kierunku Bokserskiej) będą kursowały ulicami: Trasa Łazienkowska – Waryńskiego – Puławska – Rakowiecka. Linia nocna N34 (tylko w kierunku Os. Kabaty) będzie jeździła objazdem ulicami: Wawelska – Żwirki i Wigury – Racławicka" - informuje stołeczny ratusz.

Zmiany w Wawrze, na Bemowie i Mokotowie

W Wawrze na ulicy Walcowniczej odbywa się budowa kanalizacji. Z ruchu wyłączone zostało skrzyżowanie ulic Walcowniczej i Narcyzowej.

W związku z pracami, autobusy linii 115, 142 i nocnej N22 jeżdżą skróconą trasą ulicami: Podkowy – Patriotów – Ochocza (powrót: Ochocza). Autobusy linii 213 kursują z kolei objazdem ulicami Petunii i Bartoszycką. Dodatkowo uruchomiona została zastępcza linia Z15 kursująca na trasie: PKP Falenica – Aleksandrów. Następnie zamknięty będzie odcinek od ulicy Narcyzowej do skrzyżowania z Filmową. Utrudnienia potrwać mają do połowy grudnia.

Zmiany w organizacji ruchu wprowadzone zostaną również na Bemowie, w związku z budową drugiej linii metra.

"W czwartek, 21 listopada, około godziny 22 budowniczowie II linii metra na Bemowie wprowadzą zmiany na ulicy Górczewskiej w rejonie skrzyżowania z ulicą Konarskiego. Ruch w obydwu kierunkach za tym skrzyżowaniem zostanie przełożony na jezdnię północną" - podaje ratusz.

Organizacja ruchu zmieni się także na ulicy Postępu - Wojewódzki Inspektorat Nadzoru Budowlanego wydał pozwolenie na użytkowanie wiaduktu w ulicy Postępu nad Marynarską. Jego otwarcie nastąpi w piątek 22 listopada.

Wiadukt
Wiadukt na Postępu
Źródło: Mateusz Szmelter / tvnwarszawa.pl
Czytaj także: