Budują metro przy urzędzie dzielnicy. Duże zmiany na Górczewskiej

Utrudnienia na Bemowie
Utrudnienia na Bemowie
Drogowcy rozpoczęli wdrażanie nowej organizacji ruchu na Bemowie. Pierwsze zmiany zostały wprowadzone już w piątek wieczorem. Prace związane są z budową drugiej linii metra.

"Na ulicy Górczewskiej, na wysokości Urzędu Dzielnicy Bemowo, trwa budowa stacji metra C04 Powstańców Śląskich. Plac budowy objął północną jezdnię, a wykonawca dotychczas przebudował kolidujące instalacje podziemne. Teraz mogą rozpocząć się prace związane z budową samej stacji" - informuje stołeczny ratusz.

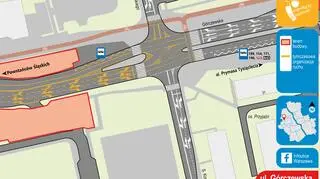
Z ruchu wyłączona zostanie południowa jezdnia ulicy Górczewskiej, a kierowcy pojadą jezdnią północną. Pierwsze zmiany zostały wdrożone w piątek późnym wieczorem.

"Wszystko powinno być gotowe w niedzielę, 6 października, ok. godz. 18" – zapewnia urząd miasta.

Przełożą ruch

Jak podaje ratusz, z ruchu wyłączona zostanie południowa jezdnia Górczewskiej na odcinku od budynku nr 218 do ulicy Konarskiego. Ruch w obu kierunkach przełożony zostanie na poszerzoną jezdnię północną.

"Za ulicą Klemensiewicza (na wysokości sklepu) kierowcy jadący w kierunku centrum przejadą na jezdnię północną. Będą tutaj dwa pasy ruchu - jeden z nich (pomiędzy ulicą Klemensiewicza a ulicą Powstańców Śląskich) zostanie przeznaczony dla autobusów komunikacji miejskiej, taksówek, pojazdów MTON i motocykli” – czytamy dalej w komunikacie.

Również kierowcy jadący od strony ulicy Księcia Janusza będą mieli do dyspozycji jeden pas ruchu – drugi (pomiędzy Konarskiego a sklepem) także będzie zarezerwowany dla autobusów komunikacji miejskiej, taksówek, pojazdów MTON i motocykli.

Zmiany dla pieszych i rowerzystów

Zmiany dotyczyły będą również pieszych i rowerzystów. Plac budowy obejmie chodnik i drogę dla rowerów po południowej stronie Górczewskiej, pomiędzy ulicami Klemensiewicza oraz Konarskiego. Po północnej stronie ulicy wyznaczona zostanie tymczasowa droga dla rowerów i chodnik. Przystanki autobusowe Bemowo-Ratusz znajdą się przy północnej jezdni.

"Na styku Woli i Bemowa powstaje najkrótszy odcinek linii M2. Składa się on z dwóch i pół kilometra tuneli oraz stacji Ulrychów (C05) i Powstańców Śląskich (C04). Wykonawcą tej inwestycji jest konsorcjum firm Gülermak i Astaldi. Wykonawca na zrealizowanie projektu wartego 959 249 940,00 zł ma czas do listopada 2021 roku" - przypomina urząd miasta.

Czytaj także: