Nesat przybiera na sile. 100 tys. ewakuowanych

Prognozowanan ścieżka Nesata
Prognozowanan ścieżka Nesata
Nesat, szalejący nad Morzem Filipińskim tajfun, przybiera na sile. Nad lądem znajdzie się we wtorek, ale już teraz powoduje intensywne deszcze i silny wiatr, z powodu których zaginęło sześciu rybaków, a na Luzon, głównej filipińskiej wyspie, zarządzono ewakuację 100 tysięcy mieszkańców.

Zbliżający się do Filipin Nesat spowodował również zamknięcie szkół, odwołanie niektórych lotów, a także zatrzymał statki w portach.

Jest już blisko Manili

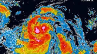
W poniedziałek, około południa czasu lokalnego, Nesat znajdował się około 489 km na wschód od stolicy Filipin, Manili. Poruszał się w kierunku zachodnim, z prędkością 20 km/h. Prędkość towarzyszącego mu wiatru wyniosła natomiast ponad 180.

- Tajfun zmierza w kierunku środowiska, w którym z łatwością znów przybierze na sile - ostrzegają meteorolodzy.

Poważne zagrożenie dla Filipin i Chin

Nesat stanowi poważne zagrożenie dla północnych Filipin. Bezpośrednio nad lądem znajdzie się wewtorek. Istnieje duże prawdopodobieństwo, że stanie się tak silny, jak huragan czwartej kategorii. Maksymalna prognozowana prędkość jego wiatru może wynieśc nawet 209-257 km/h.

Zagrożeniem jest również deszcz, który może spowodować tragiczne w skutkach powodzie i lawiny błotne. Prognozowane opady mogą wynieść 254-508 litrów na metr kwadratowy, wyższe będą na północy, przede wszystkim na wyspie Luzon.

Nesat może również zaszkodzić południowo-wschodnim Chinom.

Nesat zagraża Filipinom/wunderground.com
Nesat zagraża Filipinom/wunderground.com

Autor: map//ms,ŁUD / Źródło: accuweather.com, jma.go.jp

Czytaj także: