Meteo
Subskrybuj
TVN24+
Moje konto
Oglądaj dalej
Obserwowane
Newslettery
Preferencje treści
Moje zakupy i karty
Sklep
Zrealizuj voucher
Pomoc
Zgłoś problem
Edytuj dane
Wyloguj się
Zaloguj się
Menu
Zamknij
Pogoda
Godzinowa
Długoterminowa
Na jutro
Na weekend
Najnowsze
Polska
Prognoza
Świat
Nauka
Więcej
Ciekawostki
Podróże
Czytaj
Słuchaj
Oglądaj
Świat
"Kocioł, w którym gotowana jest pogoda dla Europy" drastycznie się zmienia. Trwają próby ratowania go
Urzędnicy alarmują: woda, którą się marnuje, zaspokoiłaby potrzeby miliona osób
Drugie tak gorące lato w historii pomiarów w Anglii
Potężna trąba wodna na jeziorze. Zobacz nagranie
Został użądlony 20 tysięcy razy, 30 owadów połknął. Dwudziestolatek przeżył atak "pszczół zabójców"
TVN24
Morświn zachorował na ptasią grypę. To pierwszy taki przypadek
"Zmiana klimatu ma globalne konsekwencje i nie wykazuje oznak spowolnienia"
Woda powodziowa utworzyła rozległe jezioro. Niektóre wioski zniknęły z powierzchni ziemi
La Nina ma zostać z nami na trzecią zimę z rzędu. Pierwszy raz w tym wieku
Wieloryby bawią się w "głuchy telefon". Ich pieśni rozbrzmiewają na całym Pacyfiku
Nauka
Toksyczne algi w zatoce San Francisco. Zwierzęta umierają, mieszkańcy boją się o własne zdrowie
"Ogromna" kość słoniowa sprzed pół miliona lat. "Jest w naprawdę dobrym stanie"
Latarki czołowe poszły w ruch. W Hiszpanii zbierają winogrona po zachodzie słońca
Dwa trzęsienia ziemi w kilkanaście minut w rejonie wyspy Samos
Gorącą Kalifornię czeka "nadzwyczajny przypadek upału"
Monstrualne opady zalały jedną trzecią kraju. "Nadzieje i marzenia ludzi zostały zmyte"
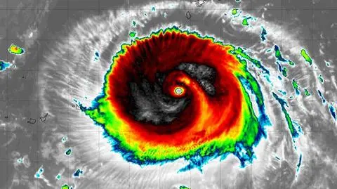
Hinnamnor. Tak nazywa się zagrożenie zbliżające się do Japonii
Drzewa w niemieckich miastach znoszą suszę gorzej niż te w lasach. Już w środku lata zrzucały liście
W tym miejscu dzieje się historia, ale pogoda go nie oszczędza. "Latem błyskawice są problemem każdego dnia"
Misja Artemis 1. Druga próba wystrzelenia rakiety SLS w najbliższą sobotę
Brak wody pitnej na czas nieokreślony. Stan wyjątkowy po powodziach
Rekiny częściej pływają blisko dużych miast, niż nam się wydaje
Śledztwo w sprawie śmierci czterech żółwi z Galapagos. Mogły zostać zjedzone
Niezwykłe więzi delfinów. Dzięki nim samce znajdują sobie partnerki lub kradną je innym
Ciekawostki
1
...
269
270
271
...
873
ABW
Adam Bodnar
Adam Niedzielski
Adam Szłapka
Administracja Donalda Trumpa
Agencja Bezpieczeństwa Wewnętrznego
Agrounia
Alaksandr Łukaszenka
Aleksander Kwaśniewski
Aleksandra Dulkiewicz
Alert RCB
Ambasada USA w Polsce
Andrzej Duda
Białoruś
Bitcoin
Biuro Bezpieczeństwa Narodowego
Bliski Wschód
Bomba atomowa
Borys Budka
Bruksela
CBŚP
CBA
Ceny paliw
Ceny żywności
Ceny prądu
Ceny mieszkań
Chiny
Choroby zakaźne
CIA
COVID-19
Cyberbezpieczeństwo
Daniel Obajtek
Dariusz Klimczak
Dariusz Korneluk
Dariusz Matecki
Dariusz Wieczorek
Donald Trump
Donald Tusk
Elon Musk
Eurojackpot
Francja
Jacek Sasin
Jacek Sutryk
Jacek Siewiera
Jan Grabiec
Jarosław Kaczyński
J.D. Vance
Joe Biden
Justin Trudeau
Kanada
Koalicja Obywatelska
Konfederacja
Krajowa Administracja Skarbowa
Kryptowaluty
Krzysztof Bosak
Krzysztof Hetman
Lasy Państwowe
Lech Wałęsa
Lewica
Lotnisko Chopina
Lotto
Maciej Wąsik
Marcin Przydacz
Marcin Kierwiński
Marian Banaś
Mariusz Błaszczak
Mariusz Kamiński
Mark Zuckerberg
Mateusz Morawiecki
Michał Kamiński
Ministerstwo Aktywów Państwowych
Ministerstwo Edukacji i Nauki
Ministerstwo Infrastruktury
Ministerstwo Kultury
Ministerstwo Obrony Narodowej
Ministerstwo Rolnictwa
Ministerstwo Rozwoju i Technologii
Ministerstwo Sportu i Turystyki
Ministerstwo Cyfryzacji
Ministerstwo Edukacji Narodowej
Ministerstwo Finansów
Ministerstwo Klimatu i Środowiska
Ministerstwo Nauki i Szkolnictwa Wyższego
Ministerstwo Sprawiedliwości
Ministerstwo Rodziny, Pracy i Polityki Społecznej
Ministerstwo Spraw Zagranicznych
Moskwa
Naczelny Sąd Administracyjny
Najwyższa Izba Kontroli
Narodowe Centrum Badań i Rozwoju
Narodowy Bank Polski
Narodowy Fundusz Zdrowia
NASA
NATO
Niemcy
Nord Stream 2
Nowa Lewica
Ordo Iuris
Organizacja Narodów Zjednoczonych
Orlen
Parlament Europejski
Partia Demokratyczna USA
Partia Republikańska
Pentagon
Piotr Gliński
PIT
PKB Polski
PKO BP
PKP Cargo
PKP Intercity
PKP PLK
Platforma Obywatelska
PLL LOT
Poczta Polska
Policja
Polska 2050
Polska Armia
Prawo i Sprawiedliwość
Prezes NBP Adam Glapiński
Prezydent RP
Prokuratura Krajowa
Przemysław Czarnek
Rada Europy
Rada Ministrów
Rafał Trzaskowki
Rafał Bochenek
Robert Biedroń
Ropa naftowa
Rosja
Ryszard Petru
Ryszard Kalisz
Rzecznik Praw Dziecka
Rzecznik Praw Obywatelskich
Sąd Najwyższy
Służba Ochrony Państwa
Służba Więzienna
Sąd apelacyjny
Samorząd terytorialny
Sędziowie
Sejm
Senat RP
Sławomir Mentzen
Sojusz Lewicy Demokratycznej
Solidarna Polska
Stopy procentowe
Straż Graniczna
Straż miejska
Straż pożarna
Strajk
Suwerenna Polska
Sztuczna inteligencja
Szymon Hołownia
Tadeusz Rydzyk
TikTok
Tobiasz Bocheński
Trybunał Konstytucyjny
Trzecia Droga
TSUE
Uchodźcy
Ukraina
Unia Europejska
UOKiK
USA
Władysław Kosiniak-Kamysz
Włodzimierz Wróbel
WHO
Władimir Putin
Wołodymyr Zełenski
Wojna na Ukrainie
Wojska Obrony Terytorialnej
Wojsko
Wybory Prezydenckie 2025
Zjednoczona Prawica
Więcej