Patricia łagodna, ale nie dla każdego. "Straciłem wszystko"

Huragan Patricia łagodnie obszedł się z mieszkańcami Meksyku. Ominął największe ośrodki turystyczne i miasta portowe. Największe spustoszenie przyniósł we wsiach. - Straciłem wszystko, nawet nie mam gdzie spać - mówią poszkodowani.

Patricia, gdy weszła w sobotę na ląd, najwięcej szkód wyrządziła w małych wioskach. Pojawiły się lokalne powodzie, silny wiatr powyrywał drzewa, zerwał dachy domów lub zniszczył całe domy.

- Straciłem wszystko, nawet nie mam gdzie spać - powiedział Roberto Gonzalez, rolnik z wioski Chamela w stanie Jalisco.

Mieszkańcy Chamela znaleźli się na linii ataku żywiołu. W miejscowości tej pod wodą znalazło się 50 domów. Poszkodowani zostali zabrani do schroniska.

Przybył z wielką siłą

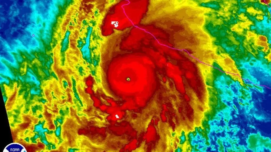
Huragan uderzył w piątek o 18.15 czasu lokalnego w słabo zaludnioną część wybrzeża Meksyku, oszczędzając kurort Puerto Vallarta i portowe miasto Manzanillo. Prędkość wiatru dochodziła wtedy do 265 km/h, a huragan miał piątą kategorię w skali Saffira-Simpsona.

Ludzie zostali wystarczająco wcześnie zawiadomieni o nadciągającym zagrożeniu, dlatego mogli się ochronić. Nie ma doniesień o ofiarach i rannych.

- Pierwsze informacje potwierdzają, że straty są mniejsze niż można się było spodziewać po huraganie o takiej sile - powiedział w telewizyjnym orędziu prezydent Meksyku Enrique Pena Nieto

Depresja tropikalna

Krajowe Centrum Huraganów w Miami ogłosiło, że Patricia jest już depresją tropikalną. Do tego poziomu doszła o godzinie 10 czasu lokalnego. Prędkość wiatru spadła do 55 km/h.

O godzinie 7 czasu lokalnego w sobotę Patricia przestała być huraganem, a stała się burzą tropikalną z wiatrem osiągającym w porywach 80 km/h.

Najgroźniejszy huragan

Gdy Patricia była jeszcze huraganem najwyższej, piątej kategorii w skali Saffira-Simpsona, prędkość wiatru dochodziła do 325 km/h.

Wcześniej ostrzegano, że Patricia to najsilniejszy huragan, jaki powstał na półkuli zachodniej od kiedy rozpoczęto w 1949 roku pomiary, i że może on zagrażać - według meksykańskiego Krajowego Centrum Obrony Cywilnej - 400 tysiącom mieszkańców Jalisco i dwóch sąsiednich stanów.

Zagraża nadal

Żywioł, choć znacznie osłabiony, nadal stanowi zagrożenie dla mieszkańców takich stanów jak: Nayarit, Jalisco, Colima, Michoacan, i Guerrero. Szczególnie niebezpieczne mogą okazać się obfite opady deszczu, do 50 l/mkw. Meteorolodzy ostrzegają, że takie ulewy mogą się przyczynić do powstania lawin błotnych.

Patricia jak Haiyan

Według Światowej Organizacji Meteorologicznej Narodów Zjednoczonych siła huraganu Patricia jest porównywalna do tajfunu Haiyan, który dwa lata temu nawiedził Filipiny. Poniosło wówczas śmierć lub zaginęło 7 300 osób, zniszczeniu uległo ponad milion domów, a cztery miliony Filipińczyków uciekły z zalanych terenów.

Huragan piątej kategorii w skali Saffira-Simpsona, najsilniejszy, jaki powstał na półkuli zachodniej od kiedy rozpoczęto w 1949 roku pomiary, może zagrażać - według meksykańskiego Krajowego Centrum Obrony Cywilnej - 400 tysiącom mieszkańców Jalisco i dwóch sąsiednich stanów. Jeszcze przed dotarciem huraganu na wybrzeże planowano ewakuować z zagrożonych terenów co najmniej 50 000 osób: mieszkańców i turystów.

Nad Meksyk nadciąga prawdziwe pogodowe monstrum

Nad Meksyk nadciąga prawdziwe pogodowe monstrum

Autor: pk,mab/rp,map / Źródło: PAP, TVN24 BiS, Reuters

Czytaj także: