Huragan Joaquin słabnie. Kieruje się na Bermudy

Huragan Joaquin traci na sile
Huragan Joaquin dotarł na Bahamy
Źródło wideo: NASA
Źródło zdj. gł.: NASA, NOAA
Potężny huragan na Atlantyku został zdegradowany do trzeciej kategorii. Zmierza na Bermudy.

Amerykańscy meteorolodzy bezustannie monitorują huragan Joaquin. W niedzielę rano czasu lokalnego cyklon został zdegradowany do trzeciej kategorii w skali Saffira-Simpsona, co oznacza, że prędkość wiatru ciągłego spadła poniżej 210 km/h.

W sobotę wieczorem Joaquin, wcześniej osłabiony, szybko zyskał na sile i na parę godzin stał się huraganem czwartej kategorii (prędkość wiatru ponad 210 km/h).

Wiatr do 250 km/h

Obecnie prędkość wiatru dochodzi do 195 km/h. Jeszcze sobotniego wieczora osiągała do 250 km/h.

Cyklon kieruje się na północny wschód w stronę Bermudów. Specjaliści uważają, że żywioł "zahaczy" o nie. Wydano ostrzeżenie dla mieszkańców archipelagu. Meteorolodzy prognozują, że Joaquin dotrze tam w niedzielę wieczorem. Przyniesie opady deszczu sięgające 120 km/h oraz silne porywy wiatru.

Zamknięte szkoły

Żywioł w piątek uderzył w Bahamy. Nie zanotowano żadnych ofiar śmiertelnych ani osób rannych.

Wskutek huraganu na Bahamach pojawił się ulewny deszcz, który wywołał błyskawiczne powodzie. Wiele osób na Wyspach zostało uwięzionych w swoich domach. Wszystkie szkoły zostały zamknięte.

Największe podtopienia i powodzie pojawiły się na wyspie Acklins i Long Island. Woda na niektórych ulicach ma metr wysokości.

Do 210 km/h

W piątek o godzinie 14 czasu polskiego oko cyklonu znajdowało się około 50 kilometrów na północny wschód od miast Clarence Town.

Ominie USA

Meteorolodzy twierdzą, że Joaquin nie dotrze do wybrzeża Stanów Zjednoczonych. Szacują, ze żywioł skieruje się wzdłuż wschodniego wybrzeża Ameryki Północnej aż do Nowej Anglii. Niewykluczone, że zahaczy o Bermudy, albo przemknie na zachód od archipelagu wysp.

Prawdopodobieństwo (%). że wiatr osiągnie prędkość ponad 60 km/h do 7 października
Prawdopodobieństwo (%). że wiatr osiągnie prędkość ponad 60 km/h do 7 października
Źródło zdjęcia: NOAA
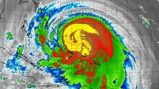
Huragan Joaquin pierwszego października
Huragan Joaquin pierwszego października
Źródło zdjęcia: NASA

Autor: AD/kka / Źródło: weather.com, Reuter

Czytaj także: